唐山要在高新区新建5条道路
唐山信息港 发表于:2022-9-10 19:23 复制链接 看图 发表新帖
阅读数:7134

近日,中国唐山网站发布2则规划公示、中国河北网站发布3则招标公告,要在高新区新建5条道路,详情如下:

庆丰道建设项目规划公示

50122992_279e617b-cd3b-45e2-ae66-f15c24dc2932copy.png

50122992_880c4941-b5a6-466d-bb40-2c59cab02fbecopy.png

50122992_c58d4dd7-2d05-467e-b196-8d45734b5788copy.png

高新区镇区北三路(二环路—镇区北一街)新建工程(一期)建设项目规划公示

50122992_e8bebacf-008d-4a32-b577-d9be1a37f799copy.png

50122992_d66bf752-a250-49e0-a6c5-0913c129f3c8copy.png

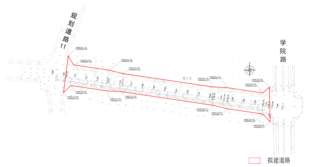
高新区创新北道(学院路—卫国路)新建工程(EPC)总承包

项目名称:

高新区创新北道(学院路—卫国路)新建工程(EPC)总承包

建设地点:

唐山市高新区本部,西起学院路,东至卫国路

建设内容及规模:

本工程为高新区创新北道(学院路-卫国路)新建工程,起点为学院路,终点为卫国路。规划道路长度475.06米,本次实施长度为467.8米,道路红线宽30m。创新北道为东西方向次干路,一块板断面型式,双向四车道。本项目主要建设内容:道路工程、给排水工程、照明工程、电力工程。

计划工期:

12个月

高新区创新大道(学院路-卫国路)新建工程(EPC)总承包招标公告

项目名称:

高新区创新大道(学院路-卫国路)新建工程(EPC)总承包

建设地点:

创新大道位于唐山市高新区本部,起点为学院路,终点为卫国路

建设规模及主要建设内容:

本工程为高新区创新大道(学院路-卫国路)新建工程,起点为学院路,终点为卫国路。规划道路长度475.06米,本次实施长度为482.807米,道路红线宽20m,用地面积9630.32平方米。创新大道为城市支路,一块板断面型式,双向两车道,机非混行,设计速度为 30km/h。断面型式:3.0m(人行道)+14m(车行道)+3.0m(人行道)=20m。本项目主要建设内容:道路工程、给排水工程、照明工程、电力工程。

计划工期:

365日历天

高新区规划道路7(庆丰道-北安道)新建工程(EPC)总承包招标公告

项目名称:

高新区规划道路7(庆丰道-北安道)新建工程(EPC)总承包

建设地点:

北起北安道,南至庆丰道

建设内容及规模:

高新区规划道路7(庆丰道-北安道)新建工程北起北安道,南至庆丰道。道路规划长度782.17米,因与现状道路衔接,本次实施长度 824.18米,道路标准红线宽20米。为南北方向支路,一块板道路断面型式,双向两车道,机非混行。主要建设内容包括道路工程、给排水工程、照明工程、电力工程。

计划工期:

12个月


来源:中国河北、中国唐山
返回列表 使用道具 举报
条评论
您需要登录后才可以回帖 登录 | 立即注册
相关推荐
©2001-2021 唐山信息港 http://www.tsxxg.com冀ICP备16001780号-4
首页联系我们客服微信:14369595Comsenz Inc.
bdall.peaapk.com xtrb.peaapk.com hdwxxg.peaapk.com qhdceo.peaapk.com tsxxg.peaapk.com lyshangdu.peaapk.com hsrb.peaapk.com lanfxx.peaapk.com chengdenews.peaapk.com szyongdian.peaapk.com dtnews.peaapk.com yqnews.peaapk.com changzhinews.peaapk.com jcnews.peaapk.com sxjzxww.peaapk.com sxycrb.peaapk.com lfxww.peaapk.com sxllnews.peaapk.com nmgnews.peaapk.com baotounews.peaapk.com tlsxxg.peaapk.com bynesrmtzx.peaapk.com shenyangx.peaapk.com dlxxgs.peaapk.com northtimes.peaapk.com jilin.peaapk.com ccxxg.peaapk.com 0437.peaapk.com ybrbnews.peaapk.com avapk