唐山路南区文化路与南新道交口东北将要开发
唐山信息港 发表于:2022-5-13 19:27 复制链接 看图 发表新帖
阅读数:3215
路南区人民政府最新公示
1e4e75fc5f7d734571d9d8407a1ab821.png
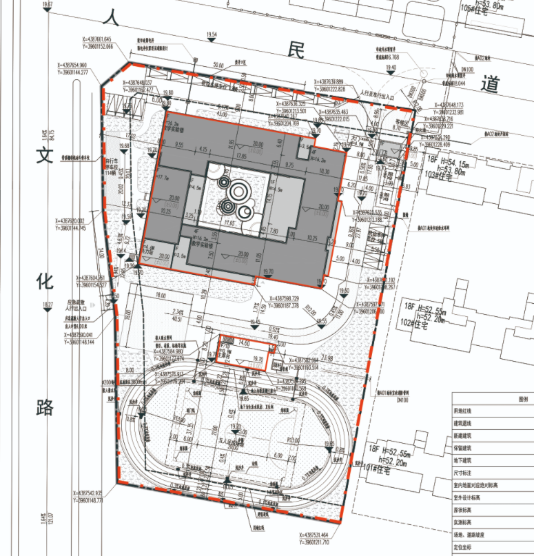
文化路南延段以东、南新道以北A-03地块项目批前公示
c63f82dd09be350be362133d29d5e97c.png

建设单位名称:唐山万瑞房地产开发有限公司

建设项目名称:文化路南延段以东,南新道以北A-03地块项目

建设项目位置:文化路南延段以东、南新道以北

建设规模:总建筑面积 6151.92㎡,地上建筑面积6036.52㎡,地下建筑面积115.4㎡

建设层数:4层

建设高度:17.7米

公示期:2022年5月13日至2022年5月22日

路南区将新建一所学校
53fc813f4237d936103d9ab19aa9628e.png
       建设单位名称:唐山万瑞房地产开发有限公司
       建设项目名称:文化路南延段以东、南新道以北A-03地块项目
       建设项目位置:文化路南延段以东、南新道以北
       建设规模:总面积6151.92㎡,地上建筑面积6036.52㎡,地下建筑面积115.4㎡;建设层数4层,建筑高度17.7米
809d77fb3417bbfa5ac94eedd860e4e3.png
7686ce2d0dd3aff5858b2dbb503c2d8c.png
返回列表 使用道具 举报
条评论
您需要登录后才可以回帖 登录 | 立即注册
相关推荐
©2001-2021 唐山信息港 http://www.tsxxg.com冀ICP备16001780号-4
首页联系我们客服微信:14369595Comsenz Inc.
bdall.peaapk.com xtrb.peaapk.com hdwxxg.peaapk.com qhdceo.peaapk.com tsxxg.peaapk.com lyshangdu.peaapk.com hsrb.peaapk.com lanfxx.peaapk.com chengdenews.peaapk.com szyongdian.peaapk.com dtnews.peaapk.com yqnews.peaapk.com changzhinews.peaapk.com jcnews.peaapk.com sxjzxww.peaapk.com sxycrb.peaapk.com lfxww.peaapk.com sxllnews.peaapk.com nmgnews.peaapk.com baotounews.peaapk.com tlsxxg.peaapk.com bynesrmtzx.peaapk.com shenyangx.peaapk.com dlxxgs.peaapk.com northtimes.peaapk.com jilin.peaapk.com ccxxg.peaapk.com 0437.peaapk.com ybrbnews.peaapk.com avapk